얼굴 모공, 잔주름, 홍조 등 복합적인 문제가 있던 환자(ft. 레가토, 콜라겐주사)

2025. 8. 10. 22:15·피부관리

 

안녕하세요 여러분의 피부·미용 주치의,

닥터도도(Dr. DoDo)입니다.

 

 

안티에이징 상담을 진행하다 보면 환자분들은 크게 두 가지 유형으로 나뉩니다.

 

 

특정 부위의 문제 – 주름, 탄력, 모공 등 한 가지 이슈만 개선하고 싶은 경우

전반적인 피부 개선 – 여러 가지 문제를 동시에 해결해 더 어려 보이고 싶은 경우

 

 

첫 번째 유형은 해당 부위에 맞춘 단일 시술 계획만 세우면 되기 때문에 비교적 단순합니다.

 

 

하지만 두 번째 유형은 이야기가 다릅니다.

 

 

여러 문제를 함께 개선하려면 시술 계획이 복잡해지고, 시술 난이도도 훨씬 높아집니다.

 

 

저희 병원은 ‘안티에이징 전문 클리닉’으로 두 번째 유형의 환자분들이 더 많습니다.

 

 

오늘은 실제로 홍조·거친 피부결·넓은 모공·잔주름 등 복합적인 피부 고민을 가지고 내원하신 환자분의 치료 사례를 소개합니다.

 

 


 

시술 전 진단 – 마크뷰(Mark-VU)로 확인한 피부 상태

 


(*우리 병원 환자분의 동의를 받아 게재하는 사진입니다. 무단 도용 및 복제를 금합니다.)

 

 

내원 당시 환자분의 마크뷰 사진

 

 

환자분은 전반적으로 피부가 칙칙하고 붉으며, 모공이 넓고 결이 거친 상태였습니다.

 

 

이를 정확하게 파악하기 위해 피부진단기 마크뷰(Mark-VU)로 촬영했는데요. 일반광, 편광, 광택광, 자외선광 총 4가지 광원을 이용해 육안으로 보기 어려운 피부 속 문제까지 정밀하게 확인했습니다.

 

잔주름 / 넓은 모공 / 홍조

 

 

 

홍조 – 혈관 확장으로 인한 전반적인 붉은기
거친 피부결 – 탄력 저하와 각질 비정상 탈락
넓은 모공 – 콜라겐 감소로 인한 피부 지지 구조 약화
미세 잔주름 – 피부 수분 및 탄력 저하

 

 

위와 같은 복합적인 문제들이 발생한 상황입니다.



 


 

넓은 모공, 홍조, 잔주름 개선 시술 계획은?

 

 

이렇게 복합적인 문제를 가진 경우, 각 증상에 맞춘 여러 시술을 모두 진행할 수도 있지만 환자분의 부담(시간·비용·시술 횟수)을 고려하면 효과적인 조합 시술을 선택하는 것이 더 현명합니다.

 

 

그 핵심이 바로 콜라겐주사입니다.

 

 

콜라겐 생성을 촉진해 피부 속 구조를 재정비하는 시술로, 한 번에 여러 피부 문제를 개선할 수 있는 장점이 있습니다.

 

 

저는 특히 병원 시그니처 시술인 OOOO콜라겐주사를 권해드렸습니다.

 

 

이는 제가 직접 개발한 맞춤형 콜라겐 부스팅 주사로 다음과 같은 효과를 기대할 수 있죠.

 

- PDO, PCL, PLLA 등 콜라겐 유도 성분을 피부 상태에 맞춰 배합
- 탄력·모공·주름 개선과 피부결·피부톤 회복을 동시에 기대

 

 

또한 환자분의 모공과 피부결 개선을 위해 레가토 레이저를 병행했습니다.

 

 

레가토는 미세 진피 손상을 유도해 콜라겐 재생을 촉진하는 장비로, 콜라겐주사와 시너지 효과가 큽니다.

 

 

 

 


 

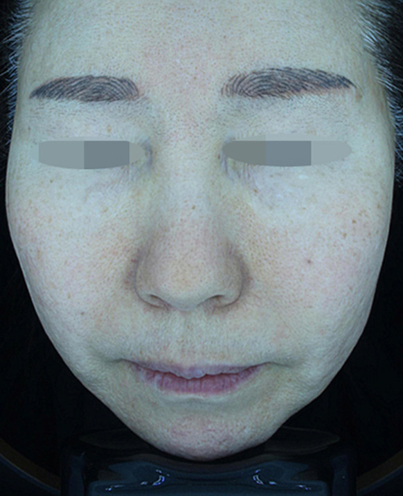
레가토 + 콜라겐주사 복합 시술 1개월 후 결과는?

 

 

레가토 + 콜라겐주사

복합 시술 후 결과입니다.

 

 

 

콜라겐주사 + 레가토 레이저 시술 후, 환자분의 피부는 다음과 같이 변화했습니다.

 

 

- 붉은 홍조가 크게 완화되어 피부톤이 균일해짐

- 거친 피부결이 부드러워지고 촉감 개선
- 모공 크기가 줄어들어 피부 표면이 매끈해짐
- 눈가 주변 미세 잔주름이 완화되어 인상이 한층 부드러워짐

 

 

무엇보다 놀라운 점은 이 변화가 시술 후 1개월 차에 확인되었다는 것입니다.

 

 

콜라겐주사의 특성상 2~3개월이 지나면 효과가 더 뚜렷해질 수 있어, 앞으로의 결과도 기대됩니다.

 


 

 

* 레가토 + 콜라겐주사 시술 전/후 사진입니다. (시술 1개월 경과)
* 동일인이며, 동일한 각도와 장소에서 촬영한 사진입니다.
* 상기 시술은 홍반, 부종, 염증 등 부작용이 발생할 수 있으므로 숙련된 의료진과 충분한 상담 후 시술을 권장합니다.

 

 

 

시술 전, 후를 비교해보면?

 

 

시술 전에는 피부 전반에 붉은기가 돌고, 모공이 넓어 거칠어 보였으며, 미세 잔주름이 선명했습니다.

 

 

시술 후에는 피부톤이 정돈되고 모공이 줄어들어 매끈함이 회복되었으며, 잔주름이 옅어져 더 어려 보이는 인상으로 개선된 모습을 확인하실 수 있지요?

 

 

 


 

 

 

 

나이가 들수록 피부 속 콜라겐 양이 줄어들면서 탄력 저하, 주름, 모공, 홍조 등 다양한 문제가 복합적으로 나타납니다.

 

 

이럴 때는 콜라겐 재생을 중심에 둔 시술이 효과적입니다.

 

 

오늘 사례처럼 콜라겐주사를 메인으로 하고, 문제에 맞춘 장비 시술을 병행하면 복합적인 노화 증상도 충분히 개선할 수 있습니다.

 

 

피부 노화는 막을 수 없지만, 늦출 수는 있습니다.

 

 

여러 피부 문제가 동시에 고민이라면, 체계적인 진단과 맞춤형 안티에이징 플랜을 통해 더 건강하고 젊은 피부를 되찾으시길 바랍니다.

 

 

오늘 이야기는 여기까지입니다.

 

 

혹시라도, 궁금하신 부분은 댓글을 남겨주시면 제가 진료 후 답글 남기도록 하겠습니다.

 


지금까지 닥터도도(Dr.DoDo)였습니다.

감사합니다.

 

 


※ 닥터도도 블로그 공지사항 안내 ※

1. 이 블로그의 포스팅과 댓글은 모두 제가 직접 작성하고 있습니다.

2. 댓글 문의는 진료 전·후로 시간이 될 때 답변을 드리고 있습니다.
(문의가 많아 답변이 늦을 수 있는 점 양해 부탁드립니다.)

3. 비용 문의는 답변이 어렵습니다.
(환자분마다 적합한 시술부터 제품, 용량 등이 다 다르다보니.. 진료 없이 정확한 안내를 드리기가 어렵고 잘못된 비용을 안내드리면 안되기에 블로그에서 비용 상담은 하지 않고 있습니다.)

 

반응형

'피부관리' 카테고리의 다른 글

앞트임 흉터 제거, 수술이 아닌 시술로 치료할 수 있을까?  (0) 2025.09.08
겨드랑이 다한증(땀), 액취증(냄새) 치료, 단 한 번의 시술로 가능하다?(ft. 미라드라이 프레쉬)  (0) 2025.09.03
겨드랑이 땀, 냄새 제거 수술 없이 치료할 수 있는 방법이 있다?  (0) 2025.07.22
상처 흉터, 손톱 흉터, 베인 흉터 치료 방법은?(ft. 실제 전후 사진)  (0) 2025.03.18
겨드랑이 땀, 겨드랑이 냄새 제거 - 미라드라이 프레쉬 장비의 모든 것(효과, 부작용, 유지기간 등)  (0) 2025.03.07
'피부관리' 카테고리의 다른 글
  • 앞트임 흉터 제거, 수술이 아닌 시술로 치료할 수 있을까?
  • 겨드랑이 다한증(땀), 액취증(냄새) 치료, 단 한 번의 시술로 가능하다?(ft. 미라드라이 프레쉬)
  • 겨드랑이 땀, 냄새 제거 수술 없이 치료할 수 있는 방법이 있다?
  • 상처 흉터, 손톱 흉터, 베인 흉터 치료 방법은?(ft. 실제 전후 사진)
Doctor. DODO
Doctor. DODO
닥터도도, 도재운 블로그에 오신 것을 환영합니다. 미용시술·성형에 대한 솔직한 이야기
  • Doctor. DODO
    닥터도도
    Doctor. DODO
  • 전체
    오늘
    어제
    • 전체글 (775)
      • 닥터도도 (58)
        • Doctor Doh (7)
        • 학회·학술활동 (39)
        • 사회·봉사활동 (0)
      • 필러 (247)
        • 턱필러 (8)
        • 이마필러 (40)
        • 입술필러 (36)
        • 팔자주름필러 (10)
        • 풀페이스필러 (6)
        • 코필러·하이코 (54)
        • 필러·주의사항 (2)
        • 필러제거·부작용 (12)
      • 보톡스 (17)
        • 보톡스·주의사항 (2)
        • 보톡스·질문답변 (1)
      • 리프팅 (166)
        • 실리프팅 (64)
        • 바디리프팅 (17)
        • 초음파리프팅 (23)
        • 고주파리프팅 (23)
        • 리프팅·주의사항 (3)
        • 리프팅·질문답변 (2)
      • 피부관리 (129)
        • 여드름치료 (25)
        • 안티에이징 (12)
        • 스킨부스터 (8)
        • 콜라겐부스터 (53)
      • 기타시술 (32)
        • 다크서클 (30)
        • 문신제거 (12)
        • 레이저제모 (3)
      • 피부질환 (35)
        • 손발톱무좀 (17)
        • 색소침착레이저 (9)
      • 성형수술 (12)
        • 눈성형 (10)
        • 코성형 (1)
        • 가슴성형 (0)
  • By닥터도도.v4.10.6
Doctor. DODO
얼굴 모공, 잔주름, 홍조 등 복합적인 문제가 있던 환자(ft. 레가토, 콜라겐주사)
상단으로

티스토리툴바