2024. 10. 29. 23:20ㆍ피부관리
안녕하세요 이지동안 강남본점 원장,
닥터도도 도재운입니다.
평소 안티에이징 관련 상담을 원하는 환자분들을 보면, 크게 두 가지로 구분되는 것 같습니다.
1. 특정 문제(주름, 탄력, 모공 등) 개선을 원하는 환자분
2. 전체적인 문제를 개선해 동안이 되길 원하는 환자분
사실 첫 번째에 해당되는 환자분들의 경우, 개선을 원하는 문제에 포커스를 맞춰 시술 계획을 세우면 되기 때문에 시술 난이도가 그리 높은 편은 아닌데...
문제는 두 번째에 해당되는 환자분들입니다.
복합적인 피부 문제를 개선하길 원하는 경우, 각 문제에 따라 여러 시술들을 필요로 하기 때문에 시술 계획이 훨씬 복잡해지고 시술 난이도도 크게 높아지게 되거든요.
우리 병원의 경우 안티에이징 집중 병원으로 첫 번째보다는 두 번째 유형에 속하는 환자분들이 많은데, 한 번 실제 케이스를 보면서 이와 관련된 이야기를 해보도록 할게요.
홍조, 피부결, 잔주름 등 복합적인 문제가 고민이었던 환자분의 이야기

복합적인 피부 문제 개선을 위해
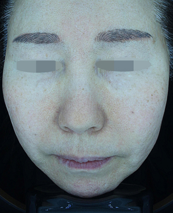
우리 병원에 내원하신 환자분.
오늘 소개드릴 환자분의 내원 당시 사진인데, 피부진단기 마크뷰(Mark-VU)를 이용해 촬영한 사진입니다.
마크뷰(Mark-VU) 피부 진단기, 측정기를 이용한 맞춤형 피부 진료
안녕하세요 닥터도도 도재운 원장입니다. 오늘은 오랜만에 우리 병원에서 사용 중인 장비 하나를 소개하려고 합니다. 바로 피부진단기 '마크뷰(Mark-VU)'입니다. 어떤 장비가 가장 중요할까 생각
naturbeauty.tistory.com
< 마크뷰(Mark-VU) 피부진단기란? >
마크뷰는 일반광, 편광, 광택광, 자외선광 총 4개의 빛으로 피부를 촬영해 육안으로 확인하기 어려운 피부의 다양한 문제들을 정밀하게 확인할 수 있도록 도와주는 장비인데요.
환자분의 경우 마크뷰를 통해 확인해보니 얼굴 홍조, 거친 피부결, 칙칙한 피부톤, 넓은 모공 등 다양한 문제들이 복합되어 있는 것을 확인할 수 있었습니다.
전형적인 중장년층 환자분들이 가지고 있는 문제들인데, 이런 문제들이 사실 굉장히 까다로운 문제에 속합니다.
우선, 문제를 알았으니 그에 적합한 시술 계획을 세워드려야겠지요?
복합적인 피부 문제(잔주름, 홍조, 피부결, 모공 등) 개선을 위한 시술 계획은?
우선, 한 가지 문제가 아닌 복합적인 문제를 개선할 때 제가 가장 선호하는 시술이 있습니다.
바로 '콜라겐 주사'입니다.
콜라겐 주사는 피부 속 콜라겐 생성을 촉진하여 자가 재생력을 이용해 복합적인 피부의 문제들을 개선해주는 시술로, 환자분처럼 복합적인 피부 문제 개선이 필요할 때 아주 적합한 시술인데요.
각각의 문제에 적합한 시술들을 하나하나 계획해서 진행한다면 더 좋겠지만..이렇게 진행할 경우 비용이나 시술에 대한 부담이 너무 커지기 때문에 가급적 2~3가지 정도의 시술로 문제를 개선할 수 있는 방향을 제안드리는 편입니다.
콜라겐 부스터 종류, 효과, 부작용 등 궁금증 총 정리
안녕하세요 이지동안 강남본점 원장, 닥터도도 도재운입니다. 오늘 주제는 요즘 핫한 "콜라겐 부스터"에 대한 이야기입니다. 콜라겐 부스터, 콜라겐 주사, 콜라겐 생성주사 등등 정말 다양한 명
naturbeauty.tistory.com
< 콜라겐 부스터 종류, 효과, 부작용 등 >
콜라겐주사의 경우 스컬트라, 울트라콜, 쥬베룩 등등 종류가 굉장히 다양한데,저는 그 중에서도 개인 맞춤형 콜라겐 주사 '이지동안주사'를 권해드리고 있는데요.(이지동안주사는 제가 직접 개발한 우리 병원만의 시그니처 콜라겐주사입니다.)
환자분들의 피부 상태, 피부 문제 등을 고려해 콜라겐 생성 촉진을 유도하는 PDO, PCL, PLLA 등의 성분을 적절하게 배합하여 맞춤형 콜라겐 부스팅 효과를 기대할 수 있습니다.
이러한 콜라겐주사를 우선적으로 진행한 후 환자분의 피부 상태에 따라 다른 시술들을 병행해 안티에이징 시술을 진행합니다.
레가토2 레이저는 모공, 여드름 흉터, 튼살 등에 효과를 볼 수 있는 시술입니다.
레가토2 레이저는 모공, 여드름 흉터, 튼살 등에 효과를 볼 수 있는 시술입니다. 안녕하세요 이지동안 도재...
blog.naver.com
< 레가토 레이저 모공, 여드름흉터, 튼살 효과 >
환자분의 경우 넓은 모공과 피부결도 좋지 않은 상태셔서 이를 개선해줄 수 있는 레가토 레이저 시술을 병행해드렸는데요.
과연 어느 정도의 효과를 기대할 수 있을지?
지금 바로 보여드릴게요.
레가토 레이저 + 콜라겐주사 복합 시술 후

레가토 레이저 + 콜라겐주사
복합 시술 후 모습입니다.
시술 후 가장 먼저 눈에 띄는 부분은 바로 전체적인 피부결·피부톤 상태인데요.
시술 전 붉게 물든 홍조가 크게 줄어들고, 피부결이 정리되면서 한층 동안스러워진 모습을 볼 수 있죠.
한 번 시술 전 모습과 비교해볼까요?
레가토 레이저 + 콜라겐주사 시술 전, 후 비교


레가토 레이저 + 콜라겐주사
시술 전, 후 모습입니다.
시술 전 사진과 비교해보면, 차이를 조금 더 명확하게 비교해볼 수 있는데요.
사진을 조금 더 클로즈업해서 보여드릴게요.


붉은 홍조, 넓은 모공, 눈가 주변 잔주름
복합적인 피부 문제들이 시술 후 상당 부분 완화된 모습을 볼 수 있는데요. 사진상에서 잘 보이지는 않지만 육안상으로 피부가 한층 부드러워진 모습도 있었습니다.
놀라운 사실은, 이러한 결과가 시술 후 1개월차에 나타났다는 점인데요. 콜라겐주사 특성상 시술 후 시간이 지날수록 체감되는 효과가 점점 커지기 때문에 2~3개월 후에 조금 더 개선된 모습을 기대할 수 있습니다.
이번 시간에는 레가토 레이저 + 콜라겐주사 두 가지 시술을 활용해 안티에이징 시술을 진행했던 케이스를 소개드렸는데요.
노화의 가장 큰 영향을 주는 것은 '콜라겐'입니다. 나이가 들수록 콜라겐 생성이 줄어들면서 다양한 피부 문제가 나타나기 시작하는데요. 오늘 소개드린 것처럼 콜라겐주사를 메인으로 문제에 따른 맞춤 시술을 진행한다면 여러 문제가 복합된 어려운 케이스도 충분히 안티에이징 효과를 얻을 수 있습니다.
피부의 노화는 막을 수 없습니다.
그러나, 노화를 늦출 수는 있습니다.
나이가 들면서 점점 처지고 주름지는 피부, 넓어지는 모공, 힘없이 늘어지는 피부 때문에 고민하고 있다면 우리 병원에서 도움을 드릴 수 있으니 우리 병원의 문을 두드려보시길 바라겠습니다.
오늘 이야기는 여기서 마치겠습니다.
더 궁금하신 부분은 댓글을 남겨주시면 진료 후 답글 남기겠습니다.
지금까지 이지동안 강남본점 원장,
닥터도도 도재운이었습니다.
감사합니다.
'피부관리' 카테고리의 다른 글
| 이브시너지 EVE Synergy 피부관리 장비를 소개합니다.(ft. 고주파, 저주파, 미세전류) (0) | 2025.01.22 |
|---|---|
| 하이드라페이셜(Hydra Facial), 하이엔드 피부관리 장비 도입 소식 (0) | 2025.01.07 |
| 웨딩 피부과, 신부관리 어떤 시술을 받으면 좋을까요?(예신관리, 웨딩관리, 예비신부 관리) (3) | 2024.09.09 |
| 눈밑 다크서클 제거, 레이저 치료는 적합한 케이스가 따로 있다? (0) | 2024.08.05 |
| 안면홍조 레이저 치료, 피부과 선택의 기준은?(지브이 GV 레이저) (0) | 2024.07.13 |
