2024. 1. 9. 20:30ㆍ필러/코필러·하이코
안녕하세요 이지동안 강남본점 원장,
닥터도도 도재운입니다.
저는 필러 시술도 많이 하지만, 이에 못지 않게 '필러 제거' 시술도 많이 하는 의사입니다.
이마필러 부작용 울퉁불퉁, 필러뭉침으로 인한 필러 제거 사례
안녕하세요 닥터도도 도재운 원장입니다. 저는 필러 시술도 많이 하지만 이에 못지 않게 필러 제거 시술을 하는 비중도 적지 않은 편입니다. 필러 제거를 하는 이유는 환자분들마다 다양하지만
naturbeauty.tistory.com
< 이마필러 부작용 제거 사례 >
반영구필러 제거, 엘란쎄 부작용으로 인해 제거 수술을 받으러 오신 중국 환자 사례
안녕하세요 이지동안 강남본점 원장, 닥터도도 도재운입니다. 오늘 포스팅 주제는 "반영구 필러 제거, 엘란쎄 부작용"입니다. 이미 아시는 분들도 있겠지만, 저는 엘란쎄 필러를 정말 많이 사용
naturbeauty.tistory.com
< 반영구필러 엘란쎄 제거 사례 >
일반 히알루론산(HA) 필러부터 수술적인 제거가 필요한 반영구 필러까지 다양한 필러 제거 시술·수술을 진행하고 있는데요. 제가 생각하는 필러를 잘하는 의사라는 건 결과에 대한 완성도도 중요하지만 문제가 생겼을 때 신속하고 올바른 대처가 가능해야 한다고 생각하기 때문입니다.
잠깐 제 이야기를 했는데, 본론으로 돌아와서.
저는 필러 시술 시 환자분들에게 꼭 당부드리는 말이 있습니다.
"필러를 너무 과하게 시술 받지마세요."
"조금 부족하게 하는 것을 권해드립니다."
제가 이를 당부하는 이유는 필러 시술은 과한 시술이 오히려 독이 되는 경우가 많기 때문입니다.
과유불급(過猶不及)이라는 말이 딱 적당할 것 같은데요.
필러를 처음에 부족하게 넣었다면, 나중에 경과를 확인하면서 리터치를 통해 부족한 부분을 채워줄 수 있습니다.
그러나, 처음부터 과하게 넣었다면, 애써 넣은 필러 전부를 제거하거나 오랜 시간 기다리는 방법 밖에 없거든요.
이 점을 이 글을 보고 계신 분들이 꼭 기억하셨으면 좋겠고, 실제 우리 병원에서 필러 제거 시술을 받으셨던 환자분의 케이스를 보여드리면서 필러 제거와 관련해서 조금 더 이야기를 해보도록 하겠습니다.
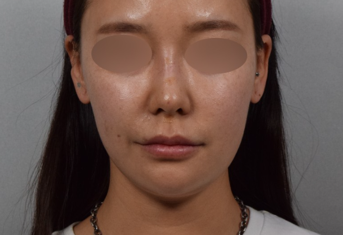
콧대필러 퍼짐 때문에 내원하셨던 여성 환자분의 이야기


콧대필러 제거를 위해 우리 병원에 내원하셨던 여성 환자분의 시술 전 모습입니다.
위 환자분의 경우, 수 개월 전 타원에서 콧대필러 시술을 받으셨는데, 시간이 지나면서 초기 모양을 잃고 콧대가 양옆으로 심하게 퍼지면서 크게 고민하셨던 분이었습니다.
실제로 콧대필러 환자분들이 이와 같은 경험을 하는 경우가 많은데요.
대체 왜 이런 현상이 일어나는 것일까요?

환자분의 코 부위만 조금 확대해보았습니다.
콧대필러가 퍼지면서 콧대가 양옆으로 면적이 넓어진 상태인데요. 흔히 이런 코를 '아바타코'라고 하는데 콧대를 무리하게 높이려고 필러를 모래성을 쌓듯이 높게 쌓았을 때 발생되는 문제입니다.
필러는 '고체'가 아닌 '탄성이 있는 젤리'에 가까운 상태이기 때문에 너무 높게 쌓으면, 시간이 지나면서 필러가 녹아 점점 무너져내리고 위와 같이 퍼짐이 발생하게 됩니다.
필러는 시간이 지나면 자연스럽게 흡수되기 때문에 필러가 전부 녹을 때까지 기다리는 방법도 있지만 코의 경우 안면부에서 가장 눈에 띄는 부위이다보니 대다수의 환자분은 '필러 제거'를 원하시는 경우가 많은 것 같습니다.
콧대필러 시술 시 퍼짐 현상은 고용량 시술에서 상당히 흔하게 나타나는 문제이다보니, 시술을 진행하기 전 의사가 환자분에게 이를 충분하게 설명하고 이해할 수 있도록 안내하고 문제가 생기지 않는 방향으로 시술을 진행하는 것도 중요합니다.
우선, 위 환자분은 필러 제거 후 재시술까지 고려하고 계셔서 그에 맞춰 시술을 도와드렸는데요. 콧대필러 제거 후 재시술까지 한 번 보여드리겠습니다.
콧대필러 제거 방법은?
대부분 필러 환자분들은 '히알루론산(HA)' 필러로 시술을 받는데요.
히알루론산(HA) 필러는 히알라제라는 필러 녹이는 주사로 어렵지 않게 제거가 가능합니다.
히알루론산(HA) 필러 제거 주사, 히알라제를 통해 녹이는 모습을 보여드립니다.
안녕하세요 닥터도도 도재운 원장입니다. 필러 시술은 간편하고 즉각적인 효과를 볼 수 있어 많은 사람들이 선호하는 대표적인 피부과 시술입니다. 하지만 예상치 못한 부작용, 모양 불만족, 기
naturbeauty.tistory.com
< 히알라제를 이용한 히알루론산 필러 제거 >
위 글은 제가 일전에 히알라제로 히알루론산 필러를 녹이는 과정을 보여드린 글인데요. 필러가 히알라제에 의해 가수분해되는 과정을 확인하실 수 있습니다.
단, 한 가지 주의할 점은 히알라제로 모든 필러를 제거할 수는 없습니다.
1. 필러 부작용(낭종, 결절, 육아종 등)이 발생한 경우
2. 히알루론산이 아닌 다른 계통의 필러로 시술한 경우
위와 같은 부분에 해당되는 분들은 히알라제로 제거가 불가능하며, 레이저를 이용한 융해·흡인, 외과적인 절개 수술 등과 같은 방법들이 필요할 수 있습니다.
콧대필러 제거 과정?

콧대 부위에 히알라제 주사를 주입하는 모습입니다.
히알라제는 히알루론산(HA)의 교차 결합을 끊어내는 역할을 하는데요. 이런 과정을 통해 단단하게 뭉쳐있는 히알루론산이 분해되면서 물처럼 변하게 되고, 체내 림프 순환계를 통해 체외로 배출됩니다.
조금 어려운 내용인데, 간단하게 설명해서 필러를 녹여 없애버리는 주사라고 생각하시면 되고요.

히알라제 주사 시술 후 부위를 마사지하는 모습입니다.
히알라제를 주입한 후에는 히알라제와 히알루론산 필러가 잘 결합될 수 있도록 시술 부위를 마사지해줘야 합니다. 정교하게 마사지하여 두 성분이 잘 결합해 분해될 수 있도록 하는 과정이지요.
히알루론산 시술 후 필러가 퍼지거나 모양 불만족으로 인한 제거 과정은 크게 어렵지 않습니다.
단, 앞서 설명드린 것처럼 필러 부작용이나 다른 성분의 필러를 사용한 경우에는 히알라제로 제거가 어려울 수 있다는 점 기억하시면 좋겠고요.
이어서 콧대필러 제거 후 모습도 보여드리겠습니다.
콧대필러 제거 후 모습?

콧대필러 제거 후 모습입니다.
히알라제를 주입하면 필러를 제거하는 반응이 최대 72시간까지 유지되는데요. 이 시간동안에 히알루론산 필러를 주입하면 녹을 우려가 있어 바로 재시술을 진행하지 않습니다.
최소 3일 정도 경과한 후 시술을 진행할 수 있고, 보다 안정적인 재시술을 위해서는 1주일 정도 후에 재시술을 하는 것이 가장 안정적이라고 볼 수 있고요.
위 환자분의 경우, 이미 한 번 콧대필러 시술로 퍼짐 현상을 경험하셨던 분이라 필러 단독 시술은 피하셨고 우리 병원 시그니처 시술인 '도도코' 시술로 재시술을 도와드렸는데요.
콧대필러 제거 후 재시술 과정까지 보여드리겠습니다.
콧대필러 제거 후 재시술 모습?

콧대필러 제거 후 도도코 재시술 모습입니다.
도도코는 우리 병원 시그니처 코시술로 의료용실(PDO, PCL)과 함께 필러 시술을 병행하여 진행하는 복합 시술입니다.
실이 코 내부의 기둥 역할을 해주어 필러가 퍼지는 것을 막아주기 때문에 고용량 시술에도 필러 퍼짐 현상이 거의 일어나지 않고 초기 모양을 장기간 유지할 수 있다는 장점을 가지고 있는데요.
필러 퍼짐 후 도도코 재시술을 받으신 환자분들을 보면 결과뿐만 아니라 시간이 지나서도 정말 만족해하십니다.
콧대필러 제거 후 재시술까지 전, 후 비교


콧대필러 제거 후 재시술 전, 후 모습입니다.
제거 전 모습과 비교해보면 필러 퍼짐도 개선되었지만, 전체적인 코 모양이 훨씬 샤프하고 자연스럽게 예뻐진 모습을 확인하실 수 있지요?

모바일로 보고 계신 분들을 위해 코 부위만 확대해봤습니다.
콧대, 코끝, 콧볼 모두 자연스럽게 개선되었고, 필러 퍼짐도 사라진 것을 볼 수 있는데요.
저는 콧대 시술 시 필러 단독 시술을 하는 경우도 있지만, 가급적 실과 함께 시술하는 것을 권해드리는 편입니다.
효과적으로도 차이가 크지만, 시술의 안정성이 크게 높아지기 때문에 필러 퍼짐과 같은 부작용을 사전에 방지할 수 있기 때문인데요.
특히, 콧볼이나 코끝과 같은 부위는 거의 코필러 단독 시술을 진행하지 않고 있고요.
엘란쎄 콜라겐 주사 + 하이코 복합 시술을 활용하는 진주 도도코를 소개합니다.
안녕하세요 이지동안 강남본점 원장, 닥터도도 도재운입니다. 오늘 포스팅 주제는 "진주 도도코"입니다. 아시는 분들도 있겠지만, 저는 의사면허를 취득한지 20년 가까이 되었고 오랜 기간 시술
naturbeauty.tistory.com
< 콜라겐필러 + 하이코 복합 시술을 활용한 진주도도코 >
*참고로 필러 제거 후 재시술이 가능한 기간을 1주일 정도라고 설명했는데, 이는 히알루론산 필러 기준이며 콜라겐필러를 사용하는 경우 제거 시술 당일에도 시술이 가능합니다.
이번 시간에는 콧대필러 제거 후 재시술 과정과 실제 케이스까지 보여드렸는데요.
"필러 시술은 과한 것보다 부족한게 더 좋다."
이 점을 먼저 기억하시길 바라며, 오늘 내용을 간단하게 요약하며 글을 마치도록 하겠습니다.
필러 제거 관련
- 필러 퍼짐, 모양 불만족으로 인한 제거 과정은 간단하다.
- 일부 케이스의 경우 필러 녹이는 주사로 제거가 불가하다.
(필러 융해, 흡인 또는 외과적인 수술이 필요할 수 있다.)
필러 재시술 관련
- 필러 퍼짐, 모양 불만족이 고민이라면 도도코와 같은 복합 시술이 필요하다.
- 필러 제거 후 재시술까지는 1주일 정도 텀이 필요하지만, 콜라겐 필러를 활용하면 제거 당일에도 가능하다.
오늘 포스팅 내용을 간단하게 요약했는데요. 콧대필러 제거 후 재시술을 고민하고 계신 분들에게 오늘 글이 도움이 되었기를 바랍니다.
지금까지 이지동안 강남본점 원장,
닥터도도 도재운이었습니다.
감사합니다.
'필러 > 코필러·하이코' 카테고리의 다른 글
| 코필러 후기 '콧대'만 단독으로 시술하면 안되는 이유 (0) | 2024.02.29 |
|---|---|
| 코필러 유지기간, 단순히 길게만 유지되면 의미가 없는 이유? (0) | 2024.01.27 |
| 엘란쎄 콜라겐 주사 + 하이코 복합 시술을 활용하는 진주 도도코를 소개합니다. (0) | 2024.01.05 |
| 코끝 시술 시, 필러 단독 시술은 권하지 않는 이유?(코필러 퍼짐) (2) | 2023.11.29 |
| 퍼진코, 뭉툭한코 개선 사례, 코필러 퍼짐 부작용 치료가 필요했던 환자분 (0) | 2023.11.19 |
